- •Глава II. Исследование траектории движения автомобилей на кривых в плане малого радиуса
- •2.1. Маневренность автомобилей при движение по кривым в плане
- •2.2 Теоретическое обоснование динамического габарита автомобилей при движении по кривым в плане
- •2.3. Уширение проезжей части на кривых малого радиуса в плане
- •2.4. Влияние кривых в плане малого радиуса на движения автомобилей
- •2.5 Состав транспортного потока
- •Выводы по главе 2
2.3. Уширение проезжей части на кривых малого радиуса в плане
В соответствии с действующим СНиП [62] уширение проезжей части устраивают при радиусах круговых кривых в плане 1000 м и менее при одновременном ограничении движения автопоездов. За счет внутренней обочины уширение делают одинаковым по всей длине кривой.
Рис. 2.3 Схема уширения проезжей части на кривой в плане
Полное уширение двухполосной проезжей части определяют радиус кривой в плане и длина автопоезда. Например, при длине автопоезда от 11 до 25 м уширение должно составлять от 0,4 до 3,5 м. Ширина обочин с учетом устройства уширения для дорог высоких категорий должна быть не менее 1,5м, а для дорог низких категорий – не менее 0,75 м. Если ширина обочины недостаточна для того, чтобы уширить проезжую часть, делают соответствующее уширение земляного полотна. В горной местности допускается в виде исключения уширять проезжую часть за счет внешней обочины (частично).
По нормам проектирования автомобильных дорог [62] уширение проезжей части Δ определяют по формуле (2.6):
(2.6)
где L – расстояние от задней оси до переднего бампера автомобиля (база), м;
R – радиус кривой в плане, м;
V – скорость движения автомобиля, км/ч.
Полное уширение двухполосной проезжей части дороги [42] для движения автопоездов (тягач с прицепами) определяется по формула (2.7):
(2.7)
где
(b-принятая
ширина проезжей части на прямой, м);
Q – конструктивный коэффициент автопоезда (принимается из табл.2.1)
Таблица 2.1
Конструктивный коэффициент автопоезда
Тип тягача, автопоезда |
Тип прицепа |
Конструктивные коэффициенты Q, м2 |
||
1 прицеп |
2 прицеп |
3 прицеп |
||
ГАЗ-51 |
2-АП-2 |
8,4 |
17,9 |
27,4 |
ЗИЛ-150 |
2-АП-3 |
8,7 |
19,7 |
32,8 |
МАЗ-200 |
2-АП-5 |
11,8 |
25,4 |
40,0 |
МАЗ-205 |
Полуприцеп с базой 8м |
64,0 |
- |
- |
Более сложно определить уширение для дорог, по которым движутся автопоезда с различным количеством прицепов. Ширина полосы для движения таких автомобилей увеличивается с количеством прицепов в составе автопоезда. При обычных сцепных устройствах во время поворота автопоезда вокруг общего центра вращения прицепы смещаются внутрь кривой. При проектировании дорог с учетом движения автопоездов с двумя и более прицепами (длинномерные грузы) уширение проезжей части определяется расчетом [42].
На горных дорогах, предназначенных для вывоза длинномерных грузов (бревна, трубы), в некоторых случаях размеры земляного полотна и ширину покрытия на кривых малых радиусов необходимо обосновывать индивидуальными расчетами, контролируя размер выхода грузов за бровку земляного полотна.
Необходимое уширение проезжей части в [62] составляет 40 см при радиусе кривой в плане 1000 м, при меньших радиусах увеличивается в зависимости от длины расчетных автопоездов до 1,1…3 м на кривых радиусом 95 м.
Проезжую часть уширяют с внутренней стороны кривой за счет обочины. Остающаяся часть обочины должна быть не менее 1,5 м на дорогах I и II категории и 1 м – на дорогах остальных категорий.
Изменение состава транспортного потока с появлением крупногабаритных автопоездов, рост скоростей требуют пересмотра норм проектирования кривых в плане с учетом этих изменений. При этом необходимо принимать во внимание опыт стран, где подобные автомобили учитывают в нормах проектирования автомобильных дорог.
В США используются простые эмпирические формулы [86] для уширения проезжей части автомобильных дорог при движении автопоездов:
для тягача с прицепом:
Δ = 37/R; (2.8)
для лесовоза:
Δ = 18,6/R. (2.9)
В Европе рекомендуется уширять проезжую часть в пределах от 14/R до 32/R [77, 78]. По европейским нормам [86] для определения ширины полосы на кривой в плане используют следующие формулы:
для двухосных грузовых автомобилей (база=5,5 м???):
Δ = 14/R; (2.10)
для грузового автомобиля с прицепом:
Δ = 26/R; (2.11)
для автопоезда [78]:
Δ = 32/R. (2.12)
Многие авторы [76, 83] отмечают, что реальное уширение проезжей части необходимо определять только при моделировании движения грузовых автомобилей с учетом радиуса кривой в плане и угла поворота.
В соответствии со схемами моделирования приводят расчеты для четырех типов автомобилей: с общими конфигурациями – двухосный (трехосный) грузовой автомобиль; грузовой автомобиль с прицепом; сочлененный лесовоз и седельный тягач (рис.2.4).
а) |
|
б) |
|
в) |
|
г) |
Рис. 2.4 Расчетные грузовые автомобили
Схема представлена для приведенных расчетных автомобилей на основе уравнения [76]:
(2.13)
где
;
D - угол поворота, рад;
L - колесной базы грузовых автомобилей (рис. 2.4);
L= (L12 + L22 + L32) ½.
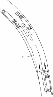
При движении автомобилей по двухполосной проезжей части во встречных полосах необходимое уширение проезжей части на кривой в плане определяется из динамического габарита плюс запаса (0,5–0,6 м). Проезжую часть необходимо уширять с внутренней и с внешней стороны на одинаковую величину (рис. 2.5).
Δ
Длина
отгона уширения проезжей части
Рис. 2.5. Уширение проезжей части на кривых в плане
Рекомендуемая длина отгона уширения варьируется от 10 до 18 м в зависимости от радиуса кривой в плане (табл. 2.2) [76].
Таблица 2.2
Радиус кривой в плане
Радиус кривой в плане, м |
Длина отгона уширения, м |
20 |
18 |
20…25 |
15 |
25…30 |
12 |
30 |
10 |
По нормам проектирования Австралии [87] для уширения проезжей части на кривых в плане используют формулу:
,
(2.14)
где R – радиус кривой в плане, м;
Cl – зазор безопасности между автомобилями при движении по соседним полосам, м;
V – скорость движения автомобилей, миль/ч.
Расчет производят для каждой полосы движения. Общее уширение может быть выполнено на внутренней части кривой в плане. Для кривых с радиусом 30 м и менее траектория движения сочлененных автомобилей может быть определена с помощью шаблонов или с помощью специальных компьютерных программ.
Полоса движения на проезжей части должна быть увеличена на ширину, равную:
,
(2.15)
где Lx – длина автомобиля от заднего моста до переднего бампера, м.
Зазор безопасности до кромки проезжей части должно быть не менее значений, представленных в табл. 2.3.
Таблица 2.3
Зазор безопасности
Ширина полосы, м |
Зазор безопасности, м |
3,0 |
0,6 |
3,25 |
0,7 |
3,5 |
0,8 |
3,7 |
0,9 |
В нормах проектирования автомобильных дорог Германии [6] уширение проезжей части на кривых в плане рассчитывают по формуле:
(2.16)
где D – база автомобиля плюс передний свес, м;
Ra– радиус внешней полосы движения на автомобильных дорогах, м;
n – количество полос движения.
Значения параметров D применяют в зависимости от длины автомобилей:
легковой автомобиль …………………………………..…..…….....4,0 м
грузовой автомобиль ……….….……………………………………8,0 м
грузовой автопоезд ……….………………………………….……10,0 м
стандартный маршрутный автобус ………………………..……….8,5 м
сочлененный автобус………………………….………………….… 9,0 м
большой междугородный автобус .......................................................11,7 м
Для определения уширения проезжей части рекомендуется расчетная схема встречи одного грузового автомобиля с другим (рис. 2.6, табл. 2.4).
Рис. 2.6 Схема для расчета уширения проезжей части на кривых в плане при встрече двух грузовых автомобилей
Таблица 2. 4
Уширение проезжей части на кривой в плане
Рекомендуемая расчетная схема |
Уширение проезжей части на дороге c двумя полосами движения |
||
|
В £ 6,0 м |
В > 6,0 м |
|
Встреча грузовых автомобилей |
|
30 < R £ 400 |
30 < R £ 200 |
Встреча автобусов |
|
30 < R £ 320 |
30 < R £ 160 |
Уширение
проезжей части
требуется
только в случаях, когда угол поворота
до начала уширения проезжей части (
)
будет больше значение
,
определяемого по формуле:
(2.17)
Промежуточные значения для γфакт< вычисляют по формулам:
(2.18)
(2.19)
где
– требуемое уширение проезжей части,
м;
–
фактический
угол поворота на кривой в плане, рад;
– угол
поворота до
начало уширения проезжей части
,
рад;
р – понижающий коэффициент.
Размерами уширения, полученными при расчетах при ширине проезжей части В= 6,0 м менее 0,25 м и при В > 6,0 м – менее 0,5 м, можно пренебречь. Расчеты для определения уширения проезжей части относят ко всем полосам движения. Уширение проезжей части производят со стороны внутренней кромке, т.е. на внутренней стороне полосы движения.
Рис. 2.7. Уширения проезжей части на кривых в плане в зависимости от радиуса.
Как следует из рисунка 2.7, уменьшением радиуса кривых в плане на автомобильных дорогах приводить к уширению проезжей части. Об этом свидетельствуют все теоретические формулы (желательно дать ссылки на эти формулы!!!), рассмотренные автором. Это объясняется тем, что при повороте на кривых с малыми радиусами динамический габарит автомобилей увеличивается, что приводит к въезду на встречную полосу или более сложному маневру при повороте.
При проектировании плана трассы автомобильных дорог, пересечений и примыканий необходимо учитывать перспективный состав транспортного потока с учетом габаритных размеров грузовых автомобилей. Подобное проектирование позволит сократить стоимость строительства за счет использования малых радиусов, применительно к составу транспортных потоков.

,
м